Svijet 12.11.25. 16:36 Uragan kakav svijet nije vidio: Melissa sravnila Karibe, naučnici upozoravaju – ovo je tek početak! Saznaj više
Svijet 30.10.25. 08:14 Uragan Melissa protutnjao Karibima uzrokujući razaranje, smrt i poplave Saznaj više
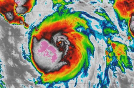
Svijet 28.10.25. 10:07 Razorna Melissa danas udara, premijer prestravljen: "Molim se na koljenima" Saznaj više
Svijet 30.09.25. 18:36 Uragan potopio Ibicu: Voda nosi automobile, ljudi zarobljeni u kućama (VIDEO) Saznaj više
Svijet 28.09.25. 12:48 Ove dvije zemlje na udaru uragana Gabrijela! Vjetar tuče 150 km/h, prijete poplave Saznaj više
Svijet 19.06.25. 11:20 Uragan Erick se približava Meksiku, dosegao 4. kategoriju: "Jako je opasan" Saznaj više
Svijet 17.06.25. 17:05 Oluja Erik u Tihom okeanu kod Meksika ubrzano jača i očekuje se da postane uragan Saznaj više
Svijet 16.10.17. 09:17 CIJELA ZEMLJA POD CRVENIM ALARMOM: Stanovnici u strahu, približava se najsnažniji uragan ikada Saznaj više
Svijet 15.10.17. 16:31 PANIKA MEĐU LJUDIMA: Uragan "Ofelija" se približava i prijeti infrastrukturi i saobraćaju Saznaj više
Svijet 13.10.17. 10:53 URAGAN OFELIJA JE SVE JAČI I JURI KA EVROPI: Evo gdje će prvo udariti! (VIDEO) Saznaj više
Svijet 12.10.17. 21:15 Novi uragan Ophelia juri prema Europi: Evo u koje dijelove stiže velika OLUJA Saznaj više
Aktuelno 12.10.17. 19:17 KATASTROFA JE NA POMOLU: Evropa je u OPASNOSTI! Uragan prijeti, a evo kad će biti NAJGORE! Saznaj više
Svijet 12.10.17. 14:34 ZASTRAŠUJUĆE UPOZORENJE METEOROLOGA: Formirao se novi uragan koji ide ka Evropi, TEMPERATURE ĆE BITI TOPLIJE NEGO IKADA! (VIDEO) Saznaj više
Svijet 08.10.17. 17:02 Umalo da doživi veliku nesreću, novinar se našao usred uragana, a iznad glave mu letjele stolice! (VIDEO) Saznaj više
Svijet 08.10.17. 09:11 STIGLO NAJAVLJENO NEVRIJEME, VJETROVI I DO 130 KILOMETARA NA SAT: Poginulo 25 osoba, ljudi u panici, počele masovne evakuacije (VIDEO) Saznaj više
Svijet 07.10.17. 23:42 Izdato upozorenje i NAREĐENE EVAKUACIJE: OČEKUJU SE STRAŠNI VJETROVI I UDARNE OLUJE, brzina vjetra već dostigla 150 km/h Saznaj više
Svijet 07.10.17. 11:09 POSTAJE OPASNO: Oluja Nate je sada uragan, kreće se ka centru Meksičkog zaljeva Saznaj više
Svijet 29.09.17. 11:12 IZDATO ŽUTO UPOZORENJE, SVIJET DRHTI: Uragan i oluja se približavaju stravičnom brzinom (VIDEO) Saznaj više