Uragan Erick se približava Meksiku, dosegao 4. kategoriju: "Jako je opasan"
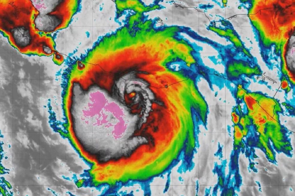
Opasan uragan Erick dosegnuo je jačinu četvrte kategorije na Saffir-Simpsonovoj ljestvici od maksimalno 5 dok se tijekom dana približava pacifičkoj obali južnog Meksika, izvijestio je Nacionalni centar za uragane (NHC) sa sjedištem u Miamiju.
Erick se kreće prema obali jugozapadnog Meksika s vjetrom koji puše brzinom do 230 km/h, izvješćuje NHC, a nedugo prije ponoći bio je na 110 km od obale države Oaxaca, zapadno od Puerto Angela.
"Potencijalno razorni vjetrovi"
Uragan karakteriziraju "potencijalno razorni vjetrovi" koji bi mogli prouzročiti "po život opasne bujične poplave u dijelovima južnog Meksika", NHC je upozorio ranije u srijedu.
Predsjednica Meksika Claudia Sheinbaum građanima je preporučila da se zaštite i ostanu u kućama s članovima svojih obitelji, osobito ako žive u nižim dijelovima.
Vlasti su preventivno na uragan upozorile sve koji se nalaze u ljetovalištima u Puerto Escondidu, posebno u Acapulcu, dijelu koji je u listopadu 2023. teško pogodio uragan pete kategorije Otis.
🚨MUY IMPORTANTE: #Erick ALCANZA CATEGORÍA 4, VIENTO DE 230 KM/H, RÁGAFAS 280 KM/H
— 🍁🌧️Meteorología México🥶❄️ (@InfoMeteoro) June 19, 2025
⚠️🌀EXTREMADAMENTE PELIGROSO HURACÁN tocaría tierra esta madrugada entre 3-6 am en algún punto entre Chacahua/Pinotepa, Oaxaca y Copala, Guerrero
-LLUVIAS TORRENCIALES
-VIENTO SEVERO
-MAREA DE… pic.twitter.com/8KOwwet9wg
Stoga su tamošnji stanovnici i turisti krenuli u skloništa, izvijestio je AFP, a vlasti su stanovnike pozvali da prekinu sve aktivnosti koje im nisu nužne. Od sinoć su zatvoreni supermarketi i restorani.
"Pogodit će ovu stranu obale"
Kiša je počela padati kasno poslijepodne u srijedu nakon sunčanog dana. Puerto Escondido i njegovih 30.000 stanovnika i turista mogli bi biti najugroženiji zbog snažnih vjetrova uragana.
"Kažu da će pogoditi ovu stranu obale, pa ćemo poduzeti sve mjere opreza da kasnije ne bismo ni zbog čega požalili", rekao je Adalberto Ruiz, 55-godišnji ribar koji je pred uraganom sklonio svoj čamac poput mnogih drugih.