PRIJETI IM NAJGORI SCENARIO, GRAĐANI NE ZNAJU ŠTA IH SUTRA ČEKA: Izdata upozorenja na najveću opasnost!

Svijet
PRIJETI IM NAJGORI SCENARIO, GRAĐANI NE ZNAJU ŠTA IH SUTRA ČEKA: Izdata upozorenja na najveću opasnost!
.

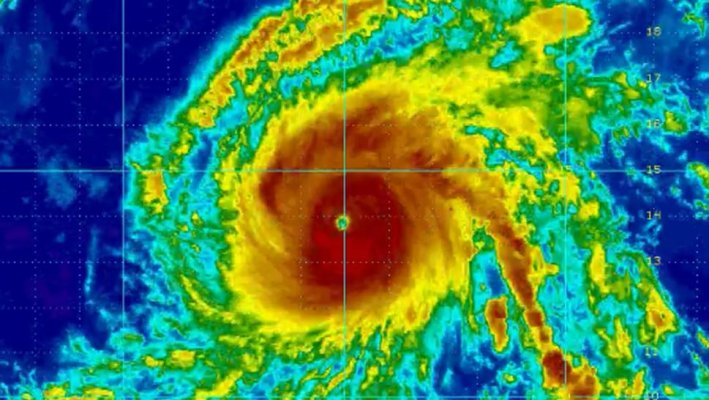
Uragan „Florens“ približava se istočnoj obali SAD, a Nacionalni centar za uragane izdao je upozorenje za Severnu i Južnu Karolinu. NHC je saopštio da se uragan „Florens“ još kreće istim intenzitetom i da je i dalje opasan.

Udar na savezne države Sjevernu i Južnu Karolinu očekuje se sutra, a kako bude stizao na obalu, očekuje se njegovo jačanje.  

kisaaa

Stanje će se pogoršavati tokom dana, a najjači udar očekuje se u petak ujutru. Stanovništvo istočne obale SAD pred naletom jednog od najopasnijih uragana posljednjih decenija počelo je evakuaciju, mada su mnogi građani odlučili da ostanu u domovima. 

Uragan "Florens", kategorije 4, uz vjetrove koji pušu brzinom od 215 kilometara na sat, preti najviše Severnoj i Južnoj Karolini, kao i Virdžiniji.

hurricane-of-poster

Međutim, jaki vjetrovi nisu najveća opasnosti, već olujni talasi koji predstavljaju najveću opasnost za živote ljudi i štetu koja bi mogla da nastane. 

Ti "zidovi vode" mogli bi da progutaju dio obale. 

1541807-uragan-fabio-ls

Osim ogromnih poplava na obali, „Florens“ će najverovatnije poplaviti i gradove u unutrašnjosti. To predstavlja problem za Severnu i Južnu Karolinu zbog obilnih kiša koje su prethodile, pa zemlja ne može da apsorbuje još mnogo vode.  

Prema prognozama, Florens će ići severnije na istočnoj obali, nego bilo koji drugi uragan kategorije 4 ikada u istoriji. Na obalama Karoline dosad nije bilo većih uragana u posljednjih tridesetak godina. 

uragan-lane

Veći uragan "Hugo", koji je harao obalama Severne i Južne Karoline, dogodio se prije 29 godina. Stručnjaci upozoravaju kako veliki broj ljudi uopšte nema pojma šta ih čeka. 

Nacionalna meteorološka služba saopštila je da 5,4 miliona ljudi živi u područjima kojima prete uragani na Istočnoj obali, prenio je AP i dodao da još četiri miliona prijete tropske oluje. 

Kolinda za austrijske medije o Jugoslaviji: "Desetljećima je nama Hrvatima bilo zabranjeno imenovati svoje porijeklo''

Ne propustite