PRIJETI IM STRAVIČAN SCENARIJ, PANIKA NA VRHUNCU: Spremaju se za udar uragana od 260 km/h, građani u strahu

Svijet
PRIJETI IM STRAVIČAN SCENARIJ, PANIKA NA VRHUNCU: Spremaju se za udar uragana od 260 km/h, građani u strahu
.

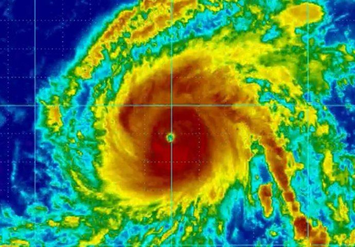
Uragan "Lane" ojačao je jučer na kategoriju pet, pa danas spao na kategoriju četiri, dok se kreće prema Havajima, čiji se stanovnici pripremaju za opasne vjetrove i poplave kada oluja stigne do ovog američkog ostrva u narednim danima, saopštio je Nacionalni centar za uragane.

Očekuje se da će uragan stići do havajskog Velikog otoka sutra uz vetar brzine 260 kilometara na čas, koji može da ošteti krovove i obori stubove za prenos električne energije.

 

Surreal imagery #perspective • • • • • #Repost @noaa with @get_repost ・・・ This is a @noaasatellites #GOES15 image of #HurricaneLane taken today (8/22/18) at 8:00 a.m. HT (2 p.m. EDT), as the Category 4 hurricane approaches the Hawaiian Islands. Hurricane #Lane is centered as of 8 a.m. HST (2 p.m. EDT) about 305 miles (490 km) south of Kailua-Kona and about 445 miles (715 km) south -southeast of #Honolulu. * A Hurricane Warning continues for Hawaii and #Maui Counties, including the islands of Maui, #Lanai, #Molokai and #Kahoolawe. Preparations to protect life and property should be rushed to completion. * A Hurricane Watch continues for #Oahu and Kauai County, including the islands of #Kauai and #Niihau. Interests in the Northwestern Hawaiian Islands should monitor the progress of Hurricane Lane. Additional Watches or Warnings may be issued later today. Maximum sustained winds are near 155 mph (250 km/h) with higher gusts - a Category 4 hurricane on the Saffir-Simpson Hurricane Wind Scale. Some weakening is forecast during the next 48 hours, but Lane is forecast to remain a dangerous hurricane as it draws closer to the Hawaiian Islands. ---> For the latest forecast, watches and warnings: Please see NOAA's Central Pacific Hurricane Center on the Web at http://www.prh.noaa.gov/cphc/tcpages/?storm=Lane, on Facebook at facebook.com/NWSHonolulu and on Twitter at @NWSHonolulu. #nature #science #satellite #hurricane #TropicalCyclone #Hawaii @NWS

A post shared by Kelly Kitashima (@kitashimaforcouncil) on

''Treba požuriti sa završetkom priprema za zaštitu života i imovine'' - naglašava se u saopštenju.

 

Damn... too late #hurricanelane #stockingup#staysafehawaii #????????

A post shared by Khamdy Souriyarangsy (@simplemeng_o) on

Stručnjaci očekuju da će centar oluje proći veoma blizu otoka ili iznad njega.

Poslije udara na Velikom ostrvu, očekuje se da će oluja nastaviti da se kreće na sjever, iznad ostrva Maui, Lanai i Molokai, gdje su u toku pripreme za nevrijeme.

Veliki otok se i dalje oporavlja od erupcije vulkana Kilauea, zbog koje su hiljade stanovnika morale da se evakuišu. Lava je uništila stotine objekata i infrastrukturu.

 

Ne propustite