Pogledajte koliki je bio uragan koji je 1992. uništio Floridu. A onda pogledajte Irmu i sve će vam biti jasno (FOTO)
.
Irma je najsnažniji uragan u historiji mjerenja na Atlantiku. Ali nikako nije prvi koji je pogodio Floridu. U augustu 1992. godine uragan pete kategorije, poznatiji kao Andrew, udario je u ovu američku državu.
Andrew je iza sebe ostavio 65 mrtvih, oštetio preko 120.000 kuća u okrugu Dade, a potpuno uništio njih 20-ak hiljada.
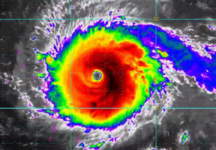
Meteorolog Eric Holthaus na Twitteru je objavio usporedbu Andrewa i Irme. Irma je nekoliko puta već, a to znači i nekoliko puta opasnija.
"Ne samo da je opasnija, nego je i puno veća. Neke procjene govore da Irma sadrži pet puta više destruktivnog potencijala od Andrewa", napisao je Holthaus.
Hurricane Andrew (1992, inset) & Hurricane Irma (today), at scale.https://t.co/0eaOdWFVx5 pic.twitter.com/yhIlAKNCpL
— Eric Holthaus (@EricHolthaus) September 7, 2017